Immobile Residenziale

Via Giuseppe Di Vittorio n. 12, 80021 - AFRAGOLA(NA) data asta : 04.11.2025 da €93.750 (Asta)
Richiedi info:
ASTANETWORK
Descrizione

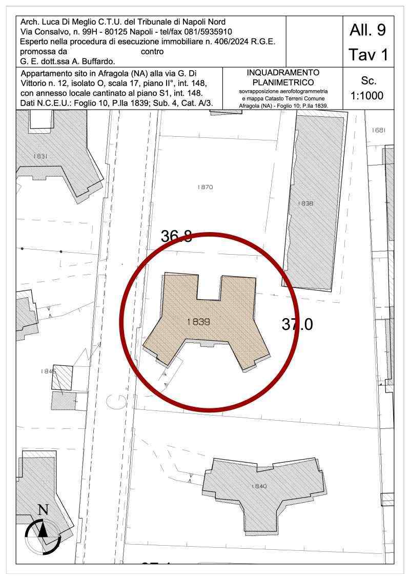
Piena ed intera proprietà di immobile sito in Afragola (NA), alla “Via Giuseppe Di Vittorio n. 12”, costituito da: Appartamento per civile abitazione posto al piano rialzato (in catasto PT), isolato O, scala 17, int. 148, con annesso locale cantinato al piano S1


Dati immobile
  • ID immobile: 818607
  • Lotto: LOTTO UNICO
  • Data vendita: 04.11.2025
  • Prezzo base: 125000.00
  • Rialzo minimo: 3000.00
  • Data inserimento: 11.07.2025

Vuoi fare un affare immobiliare?