+39 02.82396408
Home
Chi siamo
Servizi
FAQ
Partners
Segnala e Guadagna
Info e recapiti
Contattaci
Immobili
Dettagli immobile
Altra Categoria
Via Ugo Foscolo, 64013 - CORROPOLI(TE)
data asta : 28.10.2025
da €113
(Asta)
Richiedi info:
ASTANETWORK
########
+39 02.82396408
Mostra numero
Ho letto e accetto
l'informativa sulla privacy
Invia richiesta
Descrizione
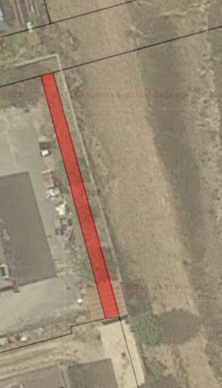
Piena proprietà di terreno di mq.82 in Via Foscolo
Dati immobile
ID immobile:
819426
Lotto:
24
Data vendita:
28.10.2025
Prezzo base:
150.00
Rialzo minimo:
500.00
Data inserimento:
14.07.2025
Vuoi fare un affare immobiliare?
Contattaci