Immobile Residenziale

Via Martiri della Libertà, 10, 23893 - CASSAGO BRIANZA(LC) data asta : 26.11.2025 da €69.750 (Asta)
Richiedi info:
ASTANETWORK
Descrizione

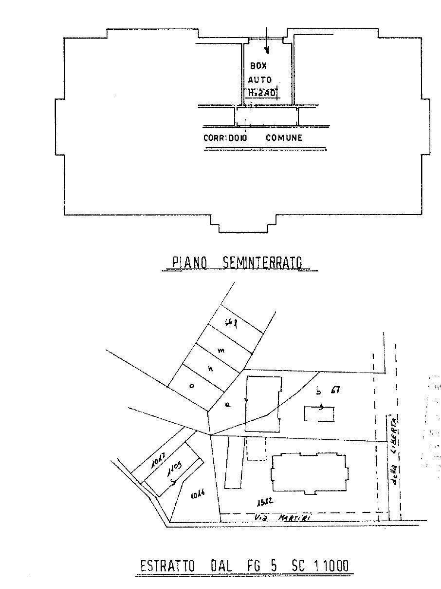
Piena Proprietà.In Comune di CASSAGO BRIANZA (LC), Sezione di CASSAGO, Via Martiri della Libertà n.10, a parte del fabbricato denominato "Condominio S. Agostino", appartamento composto, così come relazionato dall'esperto stimatore, da ingresso, soggiorno, cucina, due camere, bagno, ripostiglio e tre balconi al piano rialzato; con annesso vano ad uso cantina al piano seminterrato; oltre a vano ad uso autorimessa (collegato al vano ad uso cantina sopra descritto) anch'esso al piano seminterrato.


Dati immobile
  • ID immobile: 824292
  • Lotto: LOTTO UNICO
  • Data vendita: 26.11.2025
  • Prezzo base: 93000.00
  • Rialzo minimo: 1000.00
  • Data inserimento: 29.07.2025

Vuoi fare un affare immobiliare?