Altra Categoria

Via U. Foscolo, 64013 - Corropoli(TE) data asta : 21.01.2026 da €85 (Asta)
Richiedi info:
ASTANETWORK
Descrizione

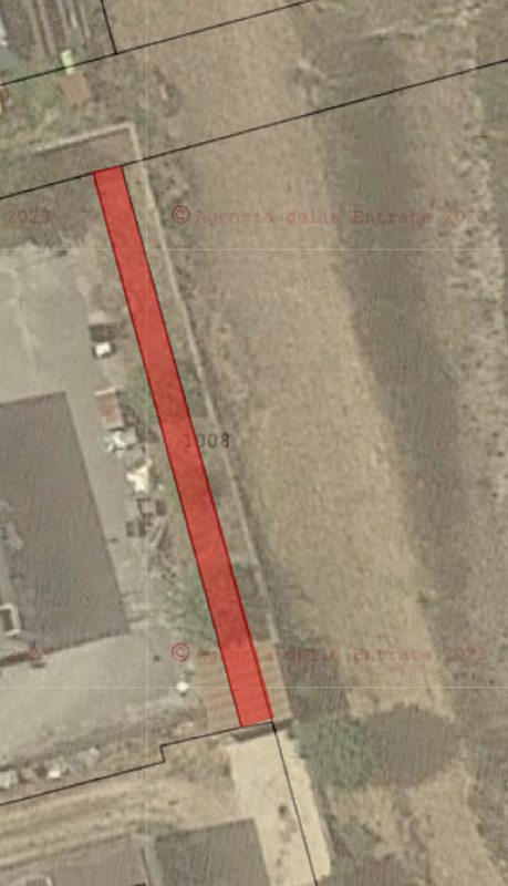
Piena proprietà di porzione di terreno intercluso con superficie catastale complessiva di mq.82. Il terreno è localizzato in un contesto di tipo residenziale.


Dati immobile
  • ID immobile: 851783
  • Lotto: 24
  • Data vendita: 21.01.2026
  • Prezzo base: 112.50
  • Rialzo minimo: 500.00
  • Data inserimento: 17.11.2025

Vuoi fare un affare immobiliare?