+39 0282396408
Home
Chi siamo
Servizi
FAQ
Partners
Segnala e Guadagna
Info e recapiti
Contattaci
Immobili
Dettagli immobile
Immobile Commerciale
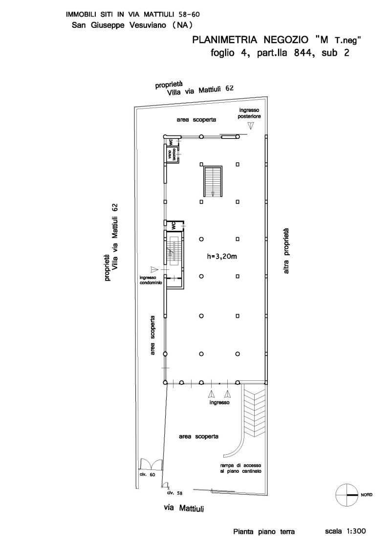
Via Mattiuli, 58/60, 80047 - San Giuseppe Vesuviano(NA)
data asta : 03.02.2026
da €417.315
(Asta)
Richiedi info:
ASTANETWORK
########
+39 02.82396408
Mostra numero
Ho letto e accetto
l'informativa sulla privacy
Invia richiesta
Descrizione
Piena proprietà di negozio al piano terra di mq. 610.
Dati immobile
ID immobile:
858467
Lotto:
16
Data vendita:
03.02.2026
Prezzo base:
556420.00
Rialzo minimo:
16693.00
Data inserimento:
06.12.2025
Vuoi fare un affare immobiliare?
Contattaci