Immobile Commerciale

Via Quinzio, 8, Squinzano, Squinzano Lecce - Squinzano(LE) data asta: 04.05.2026 Offerta minima €93.867 (Asta)
Richiedi info:
ASTANETWORK
Descrizione

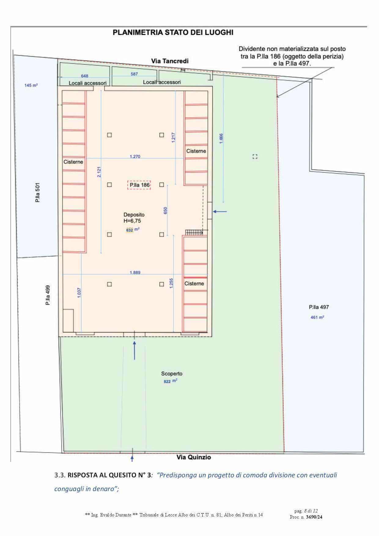
Composto da locale principale a tre campate, con travi in cemento armato e copertura piana, un tempo destinato a stabilimento vinicolo e dei locali accessori di cui uno con accesso diretto dal locale mentre l’altro con accesso diretto dallo scoperto laterale di pertinenza. La copertura di questi locali accessori versa in pessime condizioni e per di più parte di essa è stata realizzata in Eternit. Si sviluppa una superficie lorda complessiva di circa mq 1754.


Dati immobile
  • ID immobile: 876598
  • Lotto: LOTTO UNICO
  • Data vendita: 04.05.2026
  • Prezzo base: 125.156
  • Rialzo minimo: 2000.00
  • Data inserimento: 14.02.2026

Vuoi fare un affare immobiliare?