Altra Categoria

Via Noto, 96100 - Siracusa(SR) data asta: 16.04.2026 Offerta minima €14.746 (Asta)
Richiedi info:
ASTANETWORK
Descrizione

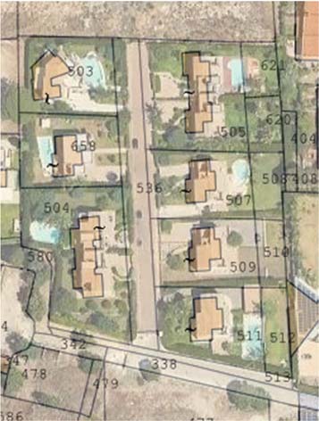
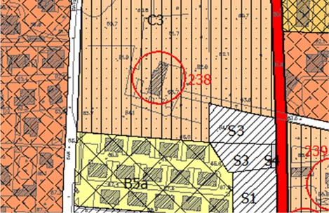
Piena proprietà terreni in Siracusa, accesso da Via Noto n. 36, attraverso strada privata chiusa da cancello, costituenti: strada di servizio dei villini di proprietà terzi, gravata da servitù di passaggio; censito in NCT Siracusa F. 27 P.lla 536 quale mandorleto di 1.200mq; terreni inedificabili residuo di lottizzazione, in NCEU di Siracusa al F. 27 P.lla 537 quale mandorleto di 7.080mq e F. 27 P.lla 538 quale mandorleto di 3.947mq.


Dati immobile
  • ID immobile: 879129
  • Lotto: 6
  • Data vendita: 16.04.2026
  • Prezzo base: 14.746
  • Rialzo minimo: 1000.00
  • Data inserimento: 21.02.2026

Vuoi fare un affare immobiliare?