Immobile Residenziale

Via A. Cipriani, n. 27, Anzio Roma - Anzio(RM) data asta: 11.06.2026 Offerta minima €65.531 (Asta)
Richiedi info:
ASTANETWORK
Descrizione

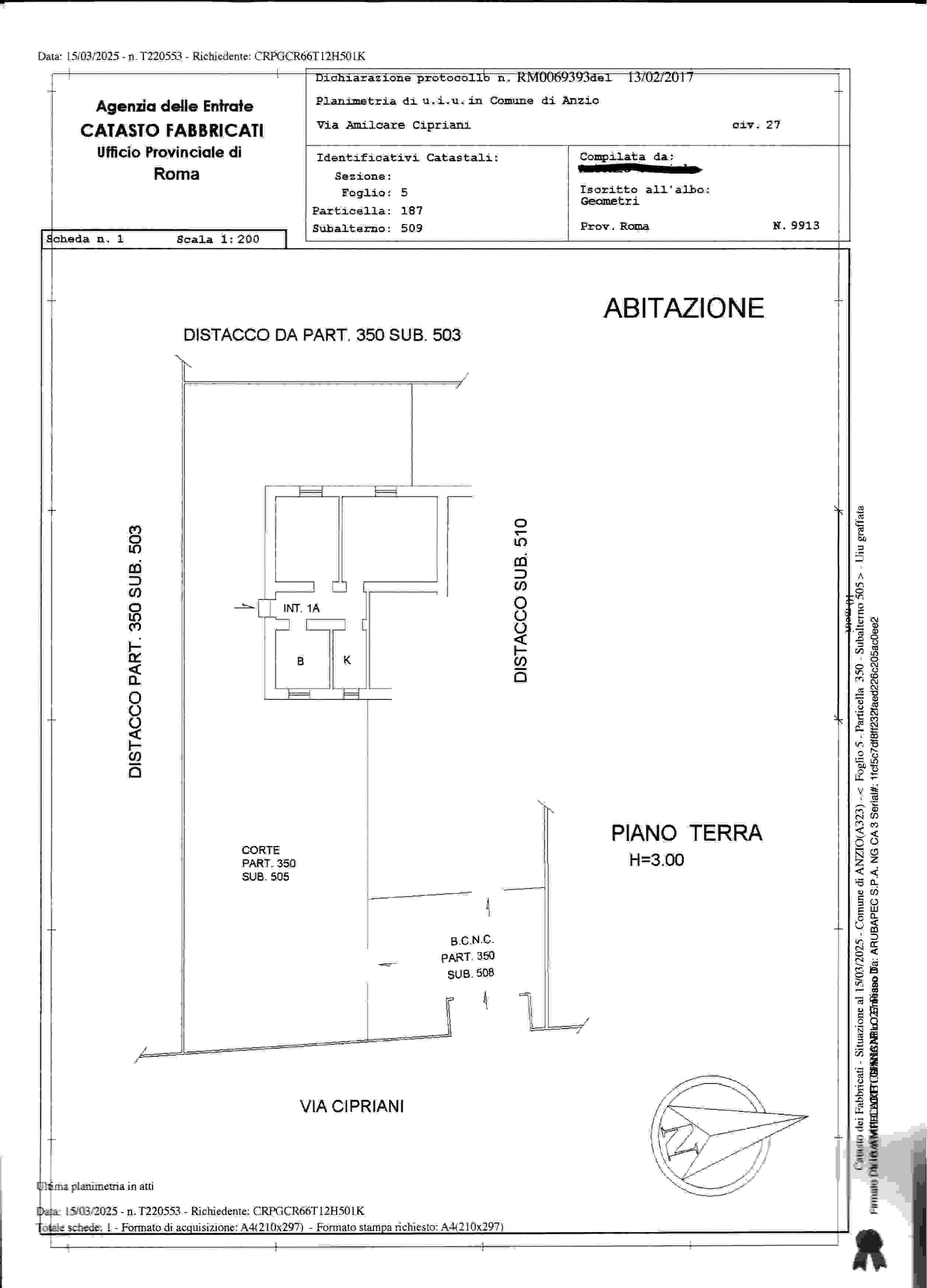
L’immobile si sviluppa su un unico livello-piano terra e risulta composta da ingresso/disimpegno, soggiorno, cucina, bagno e camera da letto con annessa area cortilizia di uso esclusivo, identificato in Catasto Fabbricati foglio 5, part. 350-187, sub 509, cat A 3, graffato 505. Superficie convenzionale 123,04mq tra interno esterno.


Dati immobile
  • ID immobile: 892110
  • Lotto: LOTTO UNICO
  • Data vendita: 11.06.2026
  • Prezzo base: 87.375
  • Rialzo minimo: 4369.00
  • Data inserimento: 02.04.2026

Vuoi fare un affare immobiliare?